Bagyong Melissa, umabot sa category 5 — Pinakamalakas na bagyo ng taon!
Robel A. Almoguerra Ipinost noong 2025-10-28 21:40:32
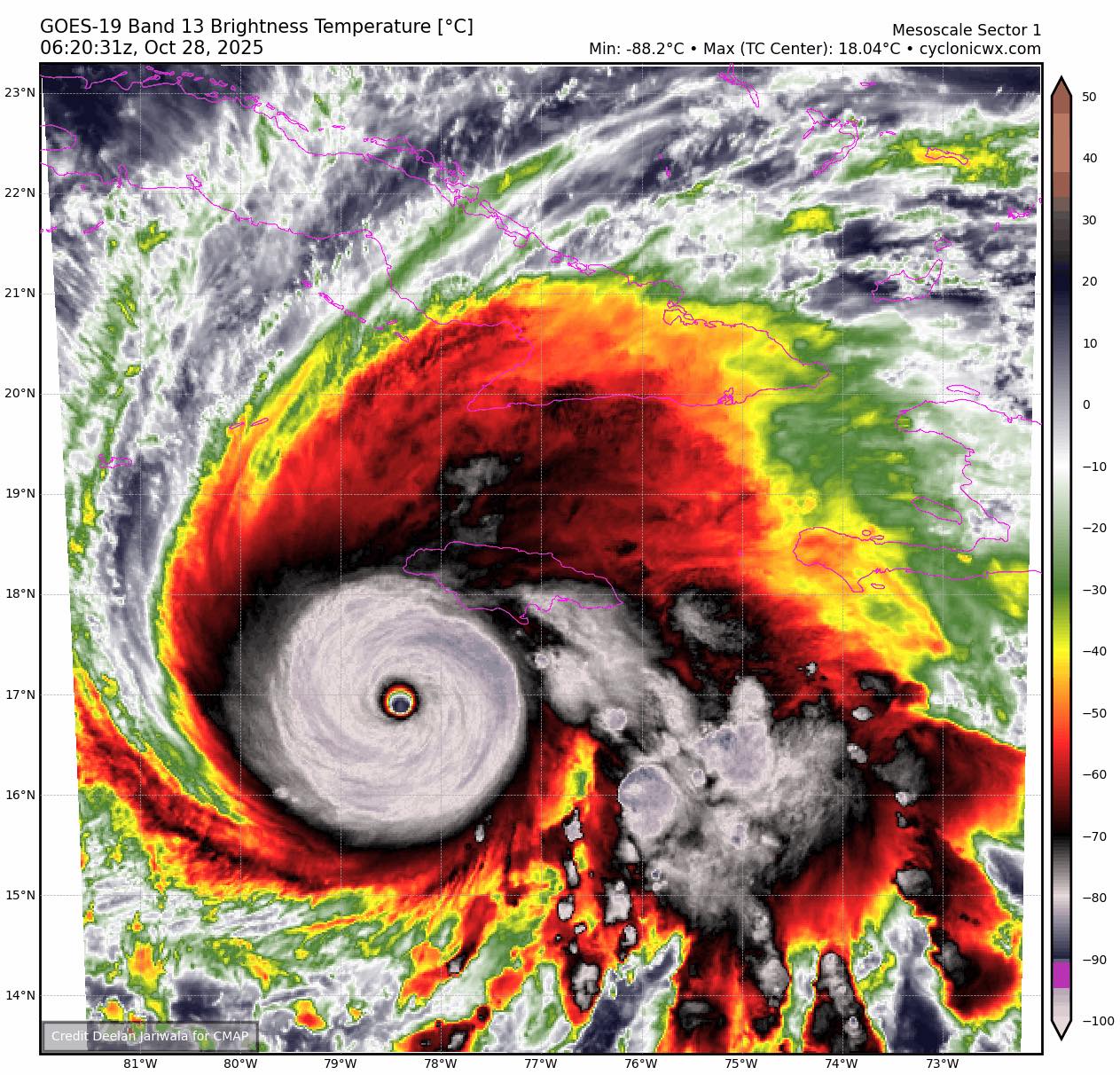
OKTUBRE 28, 2025 — Itinuturing na pinakamalakas na bagyo sa mundo ngayong taong 2025 ang Bagyong Melissa matapos itong umabot sa Category 5 major hurricane na may lakas ng hangin na higit 280 kilometro kada oras malapit sa mata nito.
Ayon sa ulat ng mga international weather agencies, kumikilos na si Melissa pa-north northeastward at tinatamaan na ng outer eyewall nito ang isla ng Jamaica, kung saan inaasahang tatama ito sa mga susunod na oras bilang isang Category 5 storm.
Tinukoy ng mga eksperto na magiging ito ang pinakamalakas at pinakamapinsalang bagyo sa kasaysayan ng Jamaica, na maaaring magdulot ng matinding pinsala sa mga kabahayan, imprastraktura, at kabuhayan ng mga residente.
Patuloy naman ang panawagan ng mga awtoridad sa mga mamamayan na maghanda at sundin ang mga abiso ng lokal na pamahalaan.
Samantala, nanawagan ang ilan na ipagdasal ang kaligtasan ng mga Pilipinong nasa Jamaica at Cuba, na posibleng maapektuhan ng hagupit ng bagyo sa mga susunod na araw. (Larawan: Hazard Watch Philippines / Facebook)
